Joni Baker
- Name Joni Baker
- Phone (360) 789-4290
- Email Joni@premiercommercialnw.com
- Address 111 Tumwater Boulevard Tumwater Wa 98501
- Office BHGRE Commercial Premier NW
- Office Number (360) 529-0343
- Office Address 111 Tumwater Boulevard Tumwater Wa 98501
Joni’s Specialties
- Office Leasing
- Retail Leasing
- Industrial Leasing
- Land Leasing
- High Tech-Flex Leasing
- Office Sales
- Retail Sales
- Industrial Sales
- High Tech-Flex Sales
- Land Sales
- Multi-Family Sales
- Special Use
- Development Land
- None listed
Active Listings
For Sale
222656 : J & I Power Equipment Inc - Lacey
3729-0 Pacific Ave SE
Olympia WA 98501
32,482 SF
For Lease
169875 : Lacey Corporate Center
4501-0 Intelco Lp SE
Lacey WA 98503
66,308 SF
For Lease
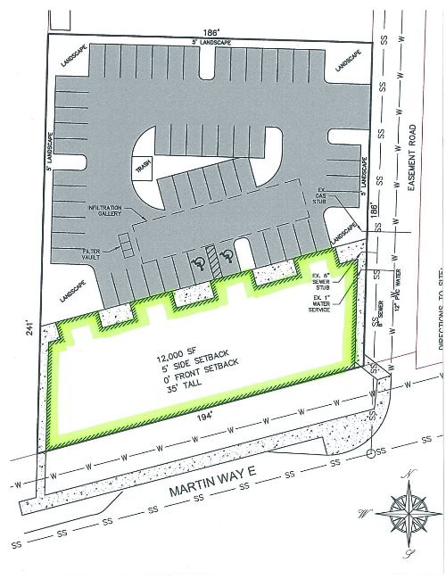
251668 : Carpet Liquidators Commercial Retail Complex
7326-0 Martin Way E
Olympia WA 98516
25,531 SF




